R 725,000
Shelley Point, St Helena Bay
                                    Monthly Bond Repayment R 7607.11
                                    
                                    Calculated over 20 years at 11.25% with no deposit.
                                
R1100
R800
Shelley Point Awaits: Build Your Coastal Dream
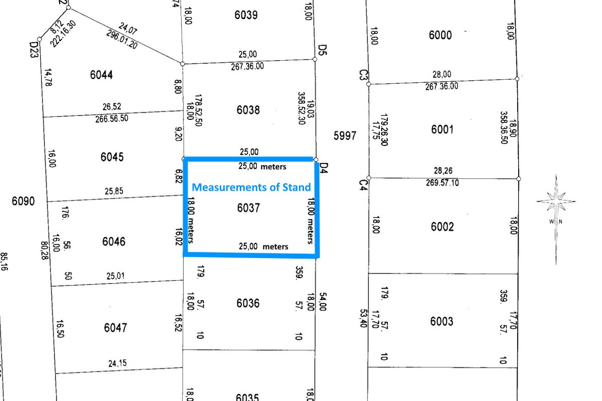
This beautiful stand in SHELLEY POINT SECURITY BEACH ESTATE offers:
Sought after address at a low price
450 sqm in extend
Fully serviced
Double storey building height allowed
2 Boundary walls in place
Building guidelines apply to ensure the estate’s attrective architectural design
No building time limit – develop when you want to
Estate’s low levy includes Security
Walking distance from beaches, golf, tennis, bowling greens, putt-putt & other outdoor activities.
This estate offers tranquil secure coastal lifestyle – viewing won’t disappoint.
Contact local agent Debora to schedule your viewing appointment
 
                                 
                                     
                                     
                                     
                                     
                            